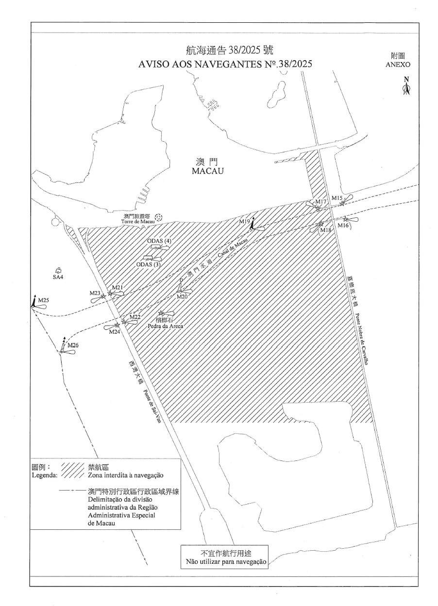
航海通告38/2025號 澳門旅遊塔對開海面-煙花燃放-臨時禁航
於2025年10月11日20:30至23:30之時段,因煙花燃放活動關係,嘉樂庇大橋與西灣大橋之間將設立一臨時禁航區;
所有無關之船隻不得駛進臨時禁航區,並遵照現場執法人員之指示;
附圖為臨時禁航區之示意圖。
澳門海事及水務局,2025年10月8日
航海通告38/2025號
航海通告38/2025號
桌面版