海事及海域
海事安全
海事管理
航道示意圖
沿岸及海上清潔
智慧海事系統
航海通告
航海刊物
海灘資訊
海灘實況
輔助站及救生員資訊
泳灘水質(市政署)
海事工程
現時正進行的海事工程
轄下船隊
中國內地相關海事資訊
海域管理
澳門海域概況
海域範圍
海域使用現況
澳門海域知識系列
法律法規
《海域管理綱要法》
《海洋功能區劃》及《海域規劃》
《海域使用法》
海域監察
監測工作
海洋基礎測量
「看海易」--海域實時影像
潮汐資訊
簡介
潮汐圖
船舶船員
船舶檢驗指南
本地航行船舶檢驗指南
鋼質漁船檢驗指南
本地航行小型船舶檢驗指南
船員職級對照準則
內地船員職級對照準則
香港船員職級對照準則
船舶最低安全配員準則
港口交通
客運碼頭資訊
海上客運航班
實時航班
航班表查詢
海上交通實況
碼頭商店及服務
潮汐圖
海上遊公司聯絡資訊
“澳門海事”手機應用程式
海上安全訊息播報
澳門的海上搜尋和救援(SAR)
澳門船舶交通管理中心
危險貨物海路運輸
載貨集裝箱總重量驗證指南
船舶建造、維修
政府船塢
簡介
現況
造船史及圖片
聯絡方式
海事培訓
航海學校
最新消息及招生訊息
學校簡介
培訓課程
海安全 ‧ 齊起航-海事知識校園推廣計劃
圖書館
聯絡我們
海事文化
海事博物館
通告
海事博物館簡介
專題展
常設展
其他設施
教育活動及工作坊
媒體報導
聯絡方式
相關資訊連結
供水事務
水資源資訊
供澳原水鹹度資訊
飲用水水質
市政署水質報告
自來水鹹度分級制
相關健康指引及建議
水價機制及水費補貼
簡介
模擬計算器
非常規水資源利用—再生水(中水)
刊物
澳門節水規劃大綱
水資源狀況報告
澳門水資源小知識
宣傳推廣
樓宇安心用水計劃
計劃章程
報名表格
執行表格
宣傳海報
小冊子
為什麼要定期維護樓宇的自來水系統
樓宇自來水系統維護
新入伙及低入住率樓宇用水注意事項
檢測機構資料
獲嘉許大廈名單
獲得證書的大廈
有靚水飲的秘密—樓宇安心用水計劃宣傳片
飲水思源節水教育推廣計劃
2025/2026學年飲水思源節水教育推廣計劃
2024/2025學年飲水思源節水教育推廣計劃
2023/2024達標學校、教學人員及學生名單
“同飲一江水‧思源懷祖國”供水圖片展
大藤峽水利樞紐圖片展
珠江“壓鹹補淡”應急水量調度實施20周年教材
節水器具
認識節水器具和用水效益標籤
節水器具知多D-節水龍頭篇
節水器具知多D-節水馬桶篇
節水小貼士
《威水超人》
《威水超人》節水宣傳劇
《威水超人》節水故事冊
影出我心水-水資源短片創作比賽
章程及報名表
線上報名及交件 (已截止)
得獎名單
公開資訊
最新消息
公告
活動訊息
開考訊息
入職開考
晉級開考
招標項目
公開招標
書面詢價
資助計劃
收集漁船家居垃圾及巡查活動資助計劃
澳門漁業文化推廣活動資助計劃
動向簡報
海事意外調查報告
統計數據
海事範疇
海上航線載客量
客運碼頭
遊艇自由行
海上貨運統計
水資源範疇
水量統計
政府水費補貼
漁業發展及援助基金
本地法規
組織法規
海事法規
海員法規
海域法規
告示
對外貿易海上口岸
漁業法規
其他
國際公約
《1974年國際海上人命安全公約》
《1974年國際海上人命安全公約》1978年議定書
《1974年國際海上人命安全公約》1988年議定書
《1973年防止船舶造成污染國際公約》1978年議定書
《修正〈經1978年議定書修訂的1973年國際防止船舶造成污染公約〉的1997年議定書》
《1969年國際船舶噸位丈量公約》
《1978年海員培訓、發證和值班標準國際公約》
《1972年國際海上避碰規則公約》
《1966年國際船舶載重線公約》
《1966年國際船舶載重線公約》1988年議定書
與海員有關之國際勞工組織公約
其他
遊艇自由行
項目概況
一般要求及須知
遊艇及駕駛員的申請條件
粵澳遊艇自由行(中山-澳門)須知
澳門遊艇駕駛人員補充學習
澳門登記遊艇進出中山
澳門登記遊艇申請手續及須知
澳門登記遊艇出港申報書
中山吉寶盛世遊艇會
澳門前往中山港之航線
廣東登記遊艇進出澳門
廣東登記遊艇申請手續及須知
遊艇民事責任强制保險
路環遊艇停泊區
漁人碼頭遊艇停泊區
澳門海關之關檢服務須知
出入境法律資訊詳情
專題
關於內港運碼頭貨櫃業務調整
運輸工務司範疇超過一億元的工程項目狀況
內港臨時防洪工程
宣傳影片
澳門特區政府各部門積極響應全民閱讀活動周
澳門社會各界積極響應全民閲讀活動周
2026 年施政報告宣傳片
澳門特區最新形象宣傳片《澳門:嶄新現在 締造未來》
澳門世界遺產監測中心
演藝之都
《家居裝修注意事項》
澳門有禮運動 旅遊大使 你我都是
橫琴粵澳深度合作區建設總體方案
暴雨警告信號系統
智慧城市
《澳門行政區域圖》宣傳視頻
電視廣告
水資源短片
專題節目
服務訊息
服務介紹
於東望洋燈塔懸掛颱風/強風訊號
船舶海事登記
海員登記
遊艇駕駛員執照
船舶引航服務
在海事管轄範圍內之雜項准照
非澳門登記遊艇進港申請
設定船舶來澳及離澳航班
海運載貨集裝箱驗重程序相關服務
遊艇自由行
澳門登記遊艇出港申報
船隻的建造及機器維修
公共實體車輛檢驗維修
海事培訓課程
定期海上客運准照及海上航線許可
海上救援
轉發惡劣天氣警告
建設海上設施的特別准照
服務承諾
最新資訊
抱負、使命、信念
認可證明書
服務質量指標
指標履行情況
履行報告 / 執行報告
履行情況趨勢分析
滿意度調查
電子問卷 ( 建議於 Chrome 瀏覽器內填寫本電子問卷 )
滿意度總結報告 / 評估報告
滿意度調查趨勢分析
索取詳盡資料的途徑
海事電子政務平台
表格下載區
關於我們
海事及水務局介紹
海事及水務局簡介
組織架構
海事及海洋範疇職能
水資源範疇職能
投訴建議
投訴與建議途徑
建議、投訴和異議之概況
相關連結
政府資訊
特區政府入口網站
澳門海關
市政署實驗室資訊
海上客運服務營運公司
噴射飛航
金光飛航
公共供水事務專營公司
澳門自來水
聯絡我們
繁
简
PT
EN
海事及海域
海事安全
海事管理
航道示意圖
沿岸及海上清潔
智慧海事系統
航海通告
航海刊物
海灘資訊
海灘實況
輔助站及救生員資訊
泳灘水質(市政署)
海事工程
現時正進行的海事工程
轄下船隊
中國內地相關海事資訊
海域管理
澳門海域概況
海域範圍
海域使用現況
澳門海域知識系列
澳門海域利用
海域動態監測
防洪納潮與輸沙通道
海域與《澳門港口圖》
海域資源
航道和錨地
法律法規
《海域管理綱要法》
《海洋功能區劃》及《海域規劃》
《海域使用法》
海域監察
監測工作
海洋基礎測量
「看海易」--海域實時影像
潮汐資訊
簡介
潮汐圖
船舶船員
船舶檢驗指南
本地航行船舶檢驗指南
鋼質漁船檢驗指南
本地航行小型船舶檢驗指南
船員職級對照準則
內地船員職級對照準則
香港船員職級對照準則
船舶最低安全配員準則
港口交通
客運碼頭資訊
海上客運航班
實時航班
往澳航班
離澳航班
航班表查詢
海上交通實況
碼頭商店及服務
潮汐圖
預測及實際潮高
查詢預測潮高
2026年潮汐表
海上遊公司聯絡資訊
“澳門海事”手機應用程式
海上安全訊息播報
澳門的海上搜尋和救援(SAR)
澳門船舶交通管理中心
危險貨物海路運輸
載貨集裝箱總重量驗證指南
船舶建造、維修
政府船塢
簡介
現況
造船史及圖片
聯絡方式
海事培訓
航海學校
最新消息及招生訊息
學校簡介
培訓課程
海安全 ‧ 齊起航-海事知識校園推廣計劃
活動章程
活動精華
圖書館
聯絡我們
海事文化
海事博物館
通告
海事博物館簡介
專題展
守望百年—東望洋燈塔160周年及海域管理10周年專題展
展覽簡介
VR線上展
澳門蠔緣–海岸生活與生態專題展
展覽簡介
VR線上展
澳門海上防禦四百周年專題展
展覽簡介
VR線上展
語音導覽-前言
語音導覽-佛朗機
語音導覽-霍奇克斯機關炮
語音導覽-葡荷澳門戰役
語音導覽-大黑船
語音導覽-真蒂洛尼家族原藏中國貿易港繪畫系列:澳門(十八世紀晚期)
常設展
海事民俗展覽廳
海事歷史展覽廳
海事技術展覽廳
水族館
露天茶座
其他設施
圖書館
出版部
工場
教育活動及工作坊
媒體報導
澳門海事博物館:對航海的歌頌 — 澳門雜誌
聯絡方式
相關資訊連結
供水事務
水資源資訊
供澳原水鹹度資訊
飲用水水質
市政署水質報告
自來水鹹度分級制
相關健康指引及建議
水中的離子 - 鈉
水中的離子 - 鎂
水中的離子 - 鉀
瓶裝飲用水
水價機制及水費補貼
簡介
模擬計算器
非常規水資源利用—再生水(中水)
刊物
澳門節水規劃大綱
節水大綱簡介
水資源狀況報告
2010 水資源狀況報告
2011 水資源狀況報告
2012 水資源狀況報告
2013 水資源狀況報告
2016 水資源狀況報告
2022 水資源狀況報告
澳門水資源小知識
《澳門水資源小知識》初小版
《澳門水資源小知識》初小教師版
《澳門水資源小知識》高小版
《澳門水資源小知識》高小教師版
宣傳推廣
樓宇安心用水計劃
計劃章程
報名表格
執行表格
宣傳海報
小冊子
為什麼要定期維護樓宇的自來水系統
樓宇自來水系統維護
簡介
定期清洗水箱
清洗儲水箱頻率
事前準備
清洗水箱程序
維護檢查項目
檢查紀錄
單位內的測漏方法
檢查項目列表
常見問題及案例
疏於管理之案例
常見問題
培訓計劃
宣傳資料
聯絡我們
新入伙及低入住率樓宇用水注意事項
檢測機構資料
獲嘉許大廈名單
獲得證書的大廈
有靚水飲的秘密—樓宇安心用水計劃宣傳片
飲水思源節水教育推廣計劃
2025/2026學年飲水思源節水教育推廣計劃
中學組
小學組
刊物及輔助資料
2025/2026學年飲水思源節水教育推廣計劃獲奬、嘉許名單及活動回顧
2024/2025學年飲水思源節水教育推廣計劃
章程及報名表
中學組
小學組
刊物及輔助資料
2024/2025學年飲水思源節水教育推廣計劃獲奬、嘉許名單及活動回顧
2023/2024達標學校、教學人員及學生名單
“同飲一江水‧思源懷祖國”供水圖片展
大藤峽水利樞紐圖片展
珠江“壓鹹補淡”應急水量調度實施20周年教材
節水器具
認識節水器具和用水效益標籤
節水器具知多D-節水龍頭篇
節水器具知多D-節水馬桶篇
節水小貼士
《威水超人》
《威水超人》節水宣傳劇
《威水超人》節水故事冊
影出我心水-水資源短片創作比賽
章程及報名表
線上報名及交件 (已截止)
得獎名單
公開資訊
最新消息
公告
活動訊息
開考訊息
入職開考
晉級開考
招標項目
公開招標
書面詢價
資助計劃
收集漁船家居垃圾及巡查活動資助計劃
澳門漁業文化推廣活動資助計劃
動向簡報
海事意外調查報告
統計數據
海事範疇
海上航線載客量
客運碼頭
遊艇自由行
海上貨運統計
水資源範疇
水量統計
政府水費補貼
2017
2018
2019
2020
2021
2022
2023
2024
2025
2026
漁業發展及援助基金
本地法規
組織法規
海事法規
海員法規
海域法規
告示
對外貿易海上口岸
漁業法規
其他
國際公約
《1974年國際海上人命安全公約》
《1974年國際海上人命安全公約》1978年議定書
《1974年國際海上人命安全公約》1988年議定書
《1973年防止船舶造成污染國際公約》1978年議定書
《修正〈經1978年議定書修訂的1973年國際防止船舶造成污染公約〉的1997年議定書》
《1969年國際船舶噸位丈量公約》
《1978年海員培訓、發證和值班標準國際公約》
《1972年國際海上避碰規則公約》
《1966年國際船舶載重線公約》
《1966年國際船舶載重線公約》1988年議定書
與海員有關之國際勞工組織公約
其他
遊艇自由行
項目概況
一般要求及須知
遊艇及駕駛員的申請條件
粵澳遊艇自由行(中山-澳門)須知
澳門遊艇駕駛人員補充學習
澳門登記遊艇進出中山
澳門登記遊艇申請手續及須知
澳門登記遊艇出港申報書
中山吉寶盛世遊艇會
澳門前往中山港之航線
廣東登記遊艇進出澳門
廣東登記遊艇申請手續及須知
遊艇民事責任强制保險
路環遊艇停泊區
漁人碼頭遊艇停泊區
澳門海關之關檢服務須知
出入境法律資訊詳情
專題
關於內港運碼頭貨櫃業務調整
運輸工務司範疇超過一億元的工程項目狀況
內港臨時防洪工程
宣傳影片
澳門特區政府各部門積極響應全民閱讀活動周
澳門社會各界積極響應全民閲讀活動周
2026 年施政報告宣傳片
澳門特區最新形象宣傳片《澳門:嶄新現在 締造未來》
澳門世界遺產監測中心
演藝之都
《家居裝修注意事項》
澳門有禮運動 旅遊大使 你我都是
橫琴粵澳深度合作區建設總體方案
暴雨警告信號系統
智慧城市
《澳門行政區域圖》宣傳視頻
電視廣告
水資源短片
專題節目
服務訊息
服務介紹
於東望洋燈塔懸掛颱風/強風訊號
船舶海事登記
海員登記
遊艇駕駛員執照
船舶引航服務
在海事管轄範圍內之雜項准照
非澳門登記遊艇進港申請
設定船舶來澳及離澳航班
海運載貨集裝箱驗重程序相關服務
遊艇自由行
澳門登記遊艇出港申報
船隻的建造及機器維修
公共實體車輛檢驗維修
海事培訓課程
定期海上客運准照及海上航線許可
海上救援
轉發惡劣天氣警告
建設海上設施的特別准照
服務承諾
最新資訊
抱負、使命、信念
認可證明書
服務質量指標
指標履行情況
履行報告 / 執行報告
履行情況趨勢分析
滿意度調查
電子問卷 ( 建議於 Chrome 瀏覽器內填寫本電子問卷 )
滿意度總結報告 / 評估報告
滿意度調查趨勢分析
索取詳盡資料的途徑
海事電子政務平台
表格下載區
關於我們
海事及水務局介紹
海事及水務局簡介
組織架構
海事及海洋範疇職能
水資源範疇職能
投訴建議
投訴與建議途徑
建議、投訴和異議之概況
相關連結
政府資訊
特區政府入口網站
澳門海關
市政署實驗室資訊
海上客運服務營運公司
噴射飛航
金光飛航
公共供水事務專營公司
澳門自來水
聯絡我們
主頁
>
海事及海域
>
海事安全
>
航海通告
>
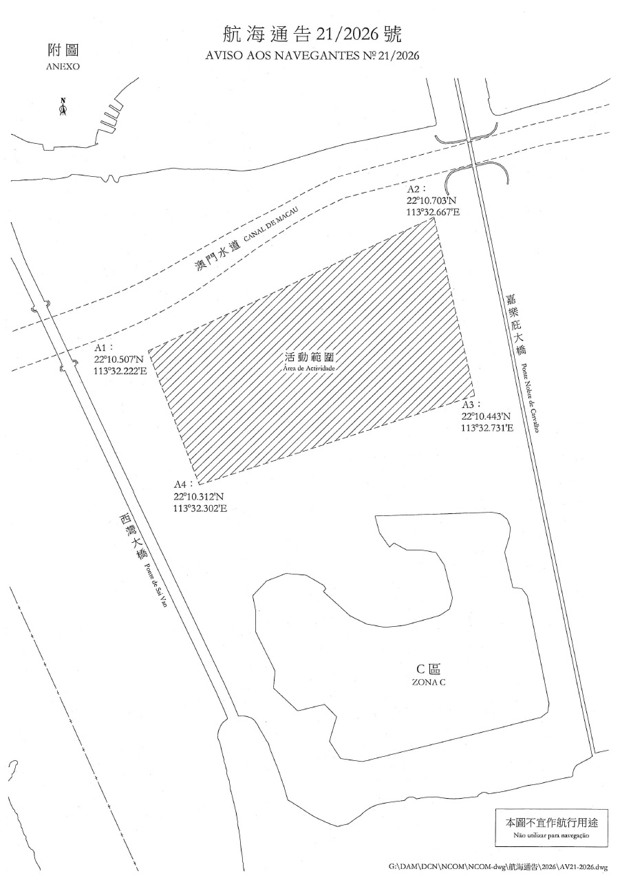
航海通告21/2026號 帆船比賽
23-03-2026
於2026年3月24日08:00至17:00之時段,以及2026年3月25日至29日09:00至17:00之時段,有帆船比賽活動舉行,比賽範圍位於旅遊塔對開澳門水道以南、嘉樂庇大橋與西灣大橋之間之指定水域;
在比賽範圍設立一臨時禁航區,所有無關之船隻不得駛進臨時禁航區;
附圖為臨時禁航區之示意圖。
澳門海事及水務局,2026年3月23日
航海通告21/2026號
航海通告21/2026號